Официальное опубликование правовых актов
ОФИЦИАЛЬНОЕ ОПУБЛИКОВАНИЕ
Постановление Комитета по охране объектов культурного наследия Ростовской области от 17.12.2018 № 20/01-01/418
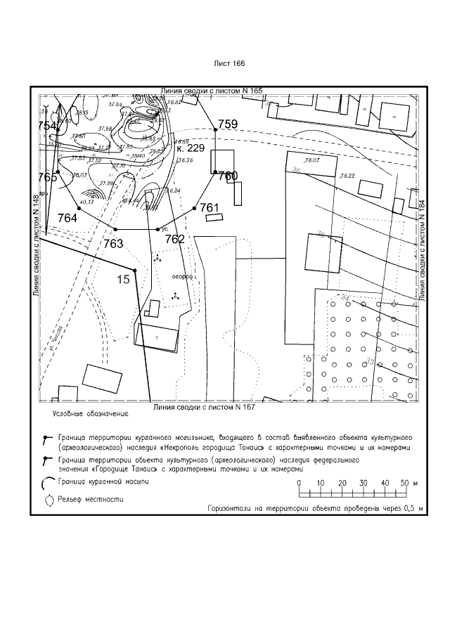
"О включении объекта, обладающего признаками объекта культурного наследия, расположенного по адресу: Ростовская область, Мясниковский район, х. Недвиговка, на территории, ограниченной с севера автодорогой М-23 и границей кластера 1 охраняемого природного объекта "Каменная балка", с востока – б. Каменная, с юга – р. Мертвый Донец, с запада – б. Донской Чулек и границей района, в перечень выявленных объектов культурного наследия – достопримечательное место и об утверждении границ его территории"
Номер опубликования: 6101201812240014
Дата опубликования: 24.12.2018
Страница №174 из 443:
Увеличить