Официальное опубликование правовых актов
ОФИЦИАЛЬНОЕ ОПУБЛИКОВАНИЕ
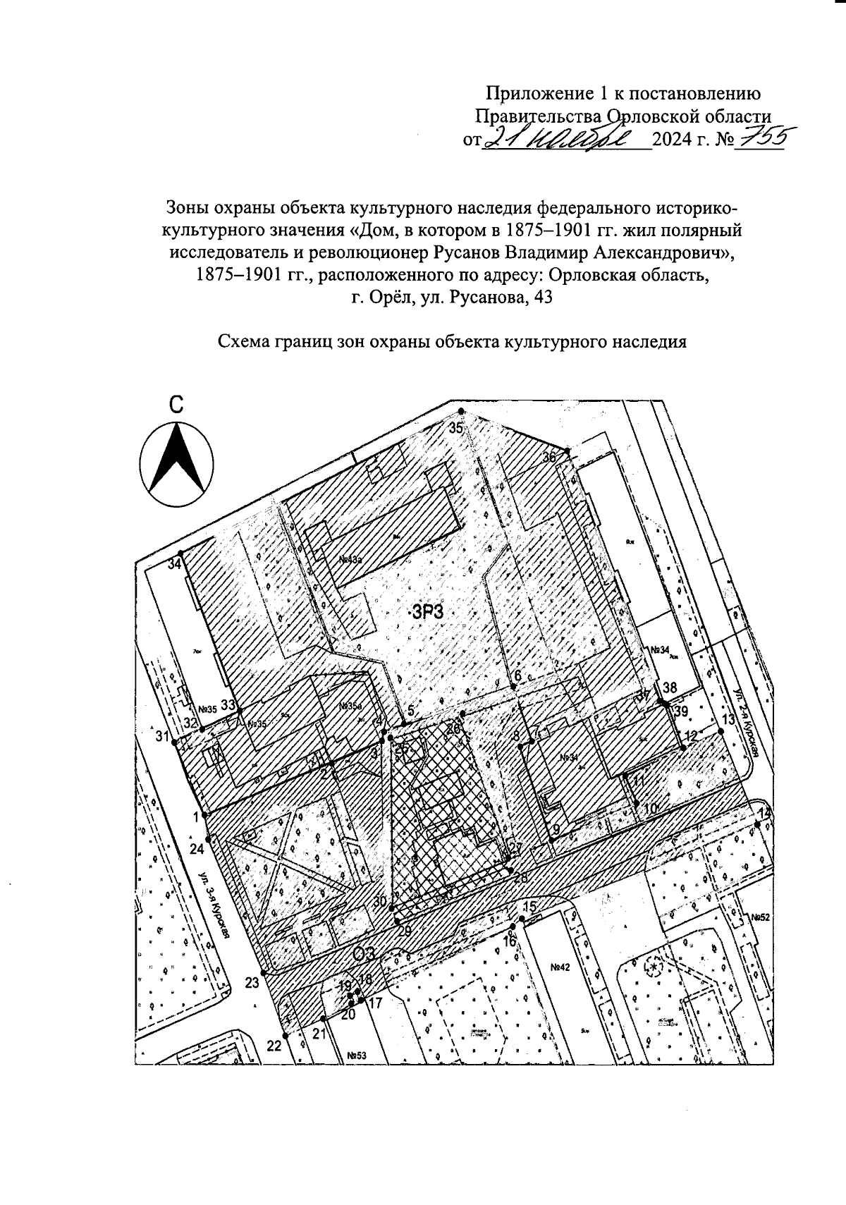
Постановление Правительства Орловской области от 21.11.2024 № 755
"Об установлении зон охраны объекта культурного наследия федерального историко-культурного значения "Дом, в котором в 1875–1901 гг. жил полярный исследователь и революционер Русанов Владимир Александрович", 1875–1901 гг., расположенного по адресу: Орловская область, г. Орёл, ул. Русанова, 43"
Номер опубликования: 5700202411220004
Дата опубликования: 22.11.2024
Страница №3 из 15:
Увеличить