Официальное опубликование правовых актов
ОФИЦИАЛЬНОЕ ОПУБЛИКОВАНИЕ
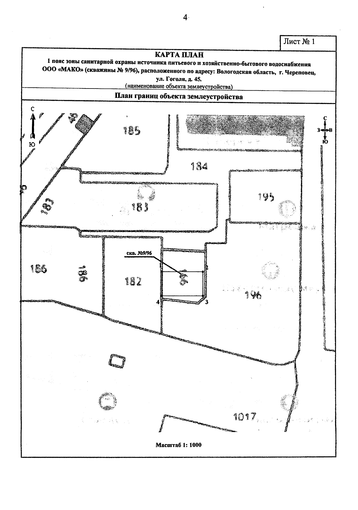
Приказ Министерства лесного комплекса Вологодской области от 21.01.2026 № 51
"Об установлении зоны санитарной охраны источника питьевого и хозяйственно-бытового водоснабжения"
(Зарегистрирован 21.01.2026 № 51)
Номер опубликования: 3501202601210005
Дата опубликования: 21.01.2026
Страница №4 из 6:
Увеличить