Официальное опубликование правовых актов
ОФИЦИАЛЬНОЕ ОПУБЛИКОВАНИЕ
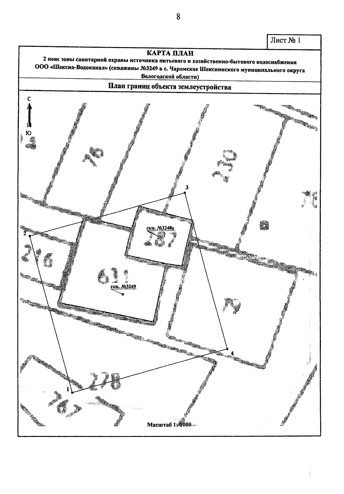
Приказ Министерства лесного комплекса Вологодской области от 21.01.2026 № 52
"Об установлении зон санитарной охраны источников питьевого и хозяйственно-бытового водоснабжения"
(Зарегистрирован 21.01.2026 № 52)
Номер опубликования: 3501202601210003
Дата опубликования: 21.01.2026
Страница №8 из 15:
Увеличить