Приказ администрации Краснодарского края от 25.02.2025 № 216-КН
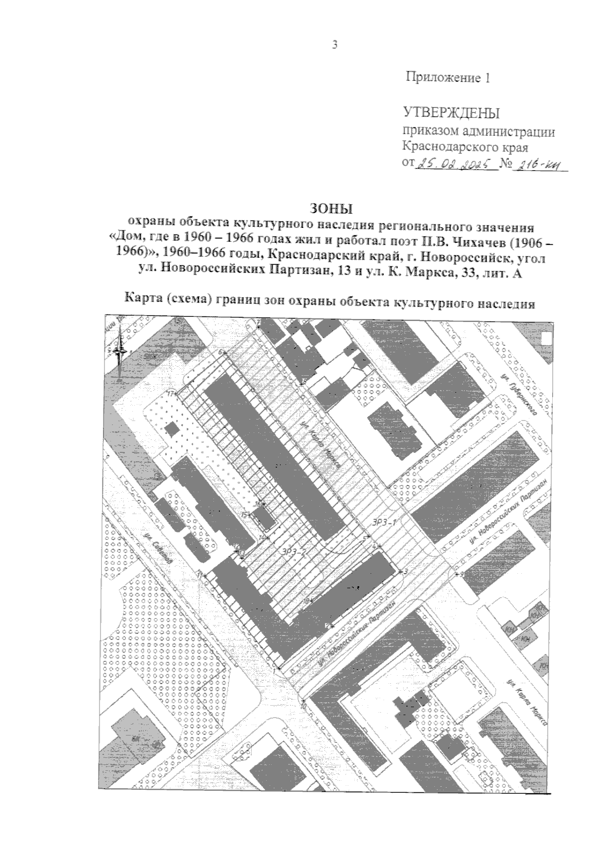
"Об установлении зон охраны, утверждении режимов использования земель и требований к градостроительным регламентам в границах территорий данных зон объекта культурного наследия регионального значения "Дом, где в 1960 – 1966 годах жил и работал поэт П.В. Чихачев (1906 – 1966)", 1960–1966 годы, Краснодарский край, г. Новороссийск, угол ул. Новороссийских Партизан, 13 и ул. К. Маркса, 33, лит. А"
"Об установлении зон охраны, утверждении режимов использования земель и требований к градостроительным регламентам в границах территорий данных зон объекта культурного наследия регионального значения "Дом, где в 1960 – 1966 годах жил и работал поэт П.В. Чихачев (1906 – 1966)", 1960–1966 годы, Краснодарский край, г. Новороссийск, угол ул. Новороссийских Партизан, 13 и ул. К. Маркса, 33, лит. А"
Номер опубликования: 2301202503040025
Дата опубликования:
04.03.2025
