Постановление Правительства Севастополя от 12.07.2018 № 435-ПП
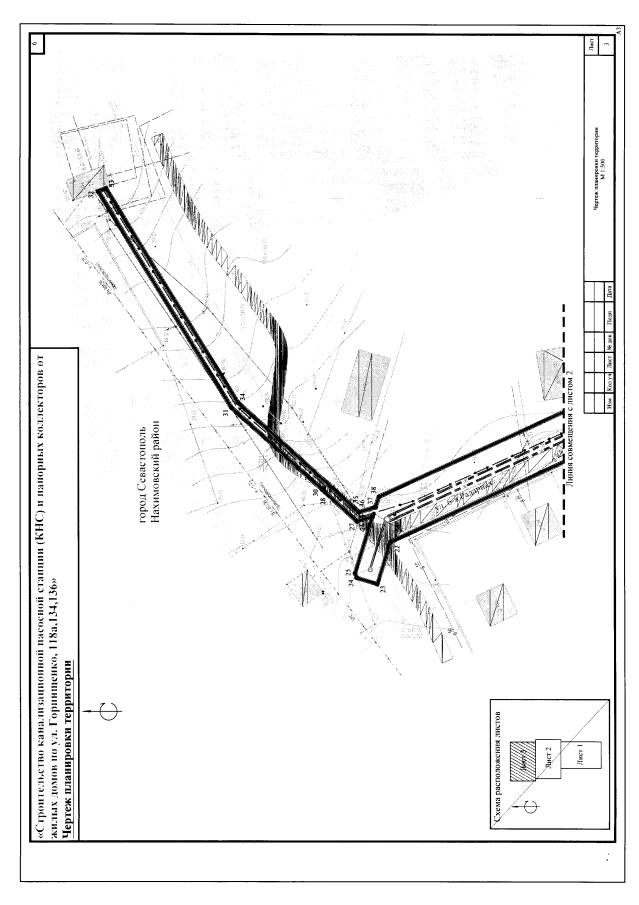
"Об утверждении документации по планировке территории линейного объекта "Строительство канализационной насосной станции (КНС) и напорных коллекторов от жилых домов по ул. Горпищенко, 118а, 134, 136"
"Об утверждении документации по планировке территории линейного объекта "Строительство канализационной насосной станции (КНС) и напорных коллекторов от жилых домов по ул. Горпищенко, 118а, 134, 136"
Номер опубликования: 9200201807180018
Дата опубликования:
18.07.2018
