Приказ Министерства культуры Республики Крым от 03.02.2025 № 55-ОКН
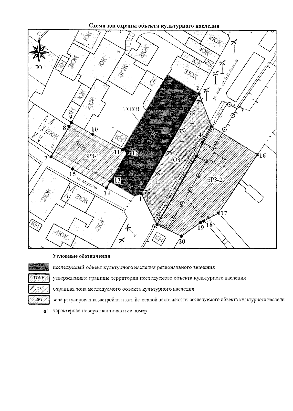
"Об утверждении границ зон охраны, режимов использования земель и требований к градостроительным регламентам в границах зон охраны объекта культурного наследия регионального значения "Здание гостиницы "Мариино" К.Б. Бентковского (реконструкция по проекту архитекторов Н.П. Краснова и Н.Г. Тарасова)", конец XIX века, расположенного по адресу: Республика Крым, г. Ялта, наб. им. В.И. Ленина, 21/ул. Морская, 1, литер "А"
(Зарегистрирован 04.02.2025 № 2185)
"Об утверждении границ зон охраны, режимов использования земель и требований к градостроительным регламентам в границах зон охраны объекта культурного наследия регионального значения "Здание гостиницы "Мариино" К.Б. Бентковского (реконструкция по проекту архитекторов Н.П. Краснова и Н.Г. Тарасова)", конец XIX века, расположенного по адресу: Республика Крым, г. Ялта, наб. им. В.И. Ленина, 21/ул. Морская, 1, литер "А"
(Зарегистрирован 04.02.2025 № 2185)
Номер опубликования: 9101202502070013
Дата опубликования:
07.02.2025
