Официальное опубликование правовых актов
ОФИЦИАЛЬНОЕ ОПУБЛИКОВАНИЕ
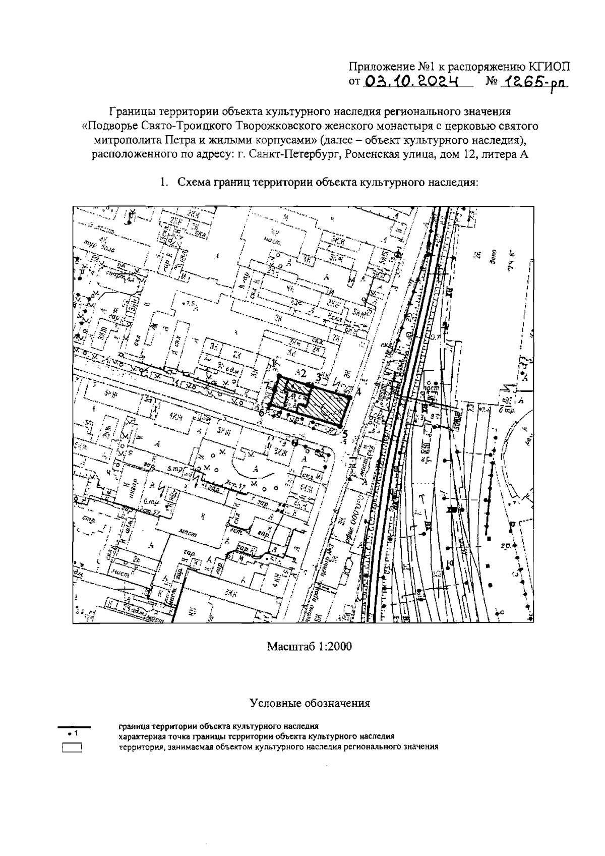
Распоряжение Комитета по государственному контролю, использованию и охране памятников истории и культуры от 03.10.2024 № 1265-рп
"Об утверждении границ и режима использования территории объекта культурного наследия регионального значения "Подворье Свято-Троицкого Творожковского женского монастыря с церковью святого митрополита Петра и жилыми корпусами"
(Зарегистрирован 07.10.2024 № 49049)
Номер опубликования: 7801202410090015
Дата опубликования: 09.10.2024
Страница №3 из 5:
Увеличить