Официальное опубликование правовых актов
ОФИЦИАЛЬНОЕ ОПУБЛИКОВАНИЕ
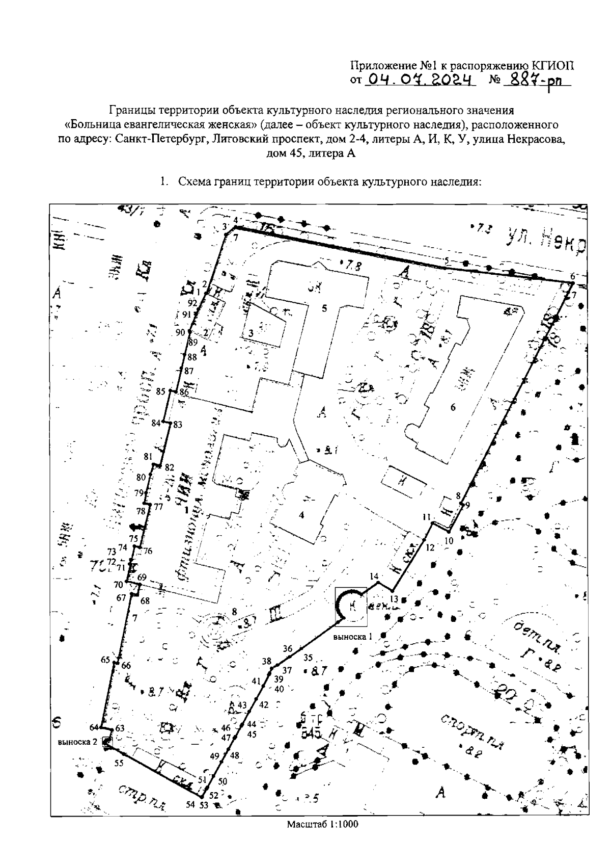
Распоряжение Комитета по государственному контролю, использованию и охране памятников истории и культуры Санкт-Петербурга от 04.07.2024 № 887-рп
"Об утверждении границ и режима использования территории объекта культурного наследия регионального значения "Больница евангелическая женская"
(Зарегистрирован 09.07.2024 № 48344)
Номер опубликования: 7801202407150021
Дата опубликования: 15.07.2024
Страница №3 из 8:
Увеличить