Официальное опубликование правовых актов
ОФИЦИАЛЬНОЕ ОПУБЛИКОВАНИЕ
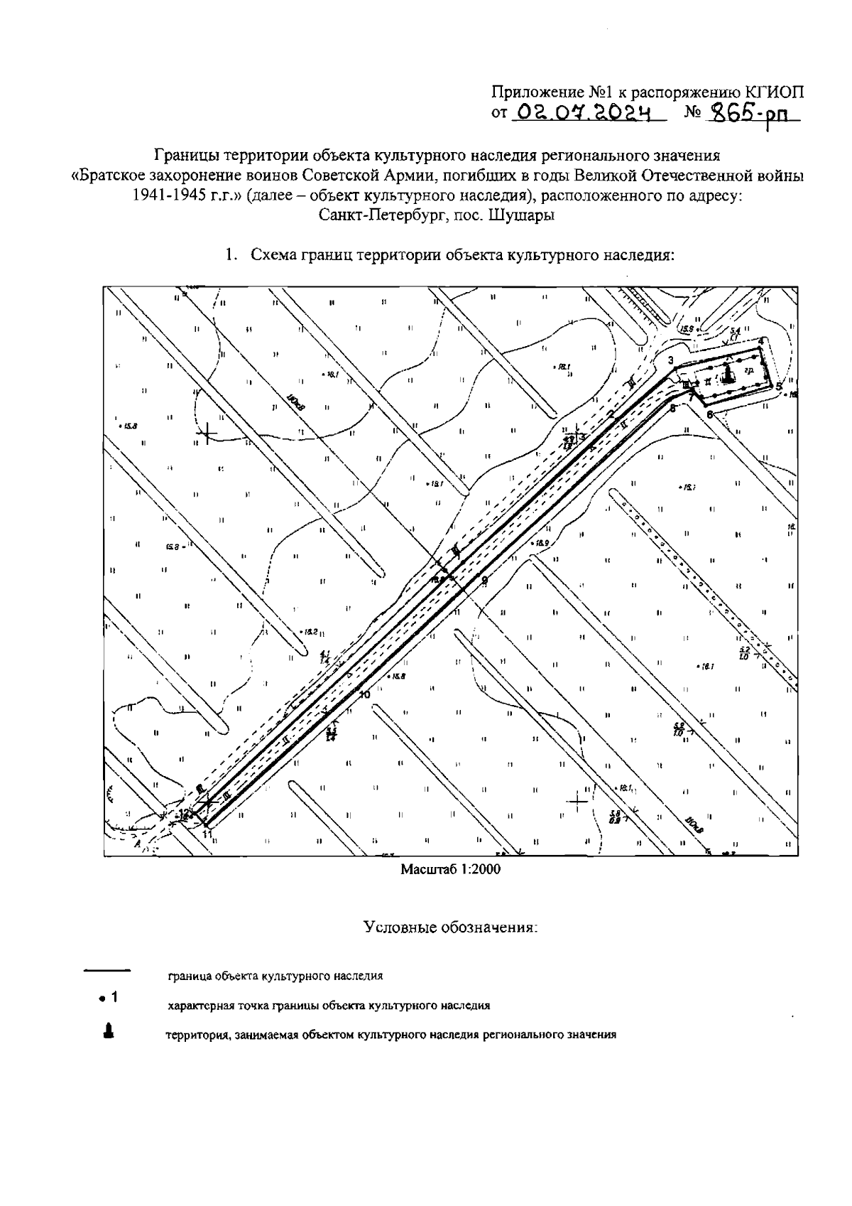
Распоряжение Комитета по государственному контролю, использованию и охране памятников истории и культуры Санкт-Петербурга от 02.07.2024 № 865-рп
"Об утверждении границ и режима использования территории объекта культурного наследия регионального значения "Братские могилы советских воинов, погибших в годы Великой Отечественной войны 1941 - 1945 г.г."
(Зарегистрирован 03.07.2024 № 48301)
Номер опубликования: 7801202407080002
Дата опубликования: 08.07.2024
Страница №3 из 5:
Увеличить