Официальное опубликование правовых актов
ОФИЦИАЛЬНОЕ ОПУБЛИКОВАНИЕ
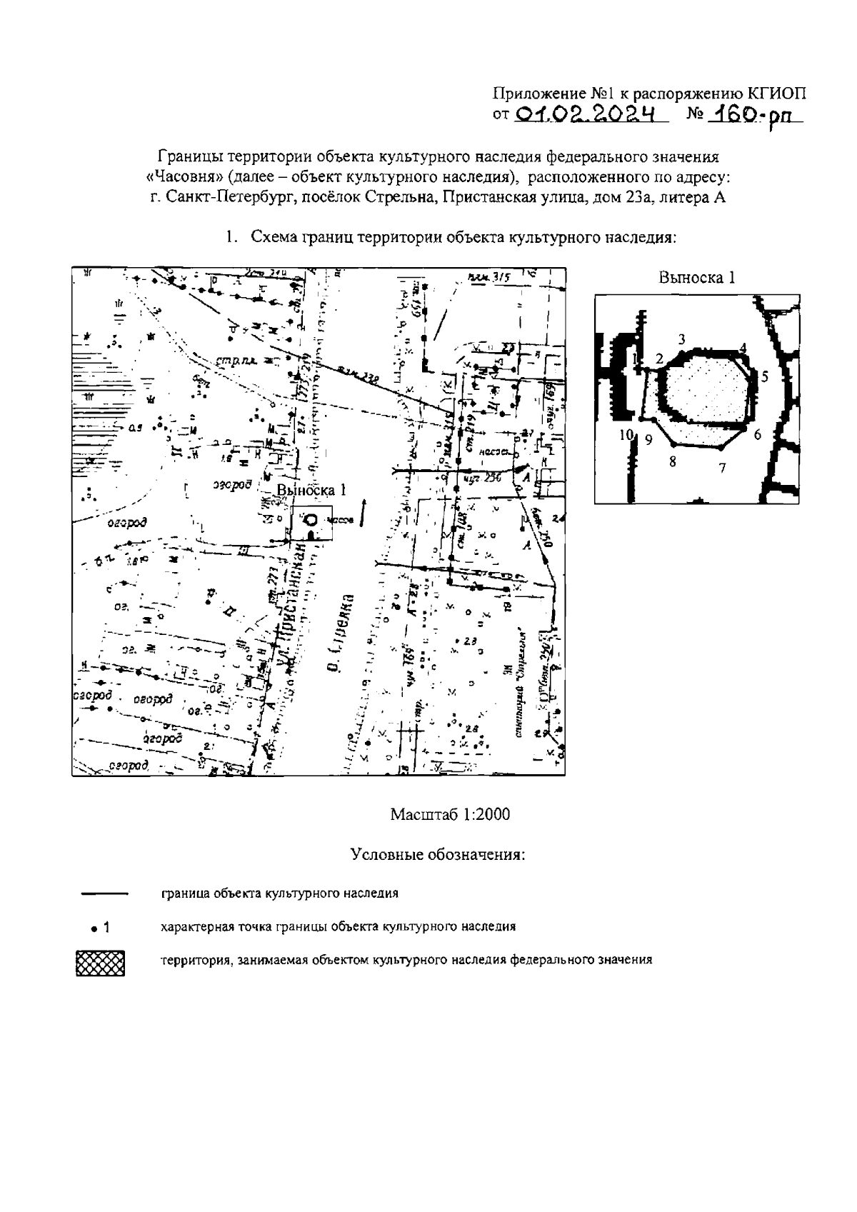
Распоряжение Комитета по государственному контролю, использованию и охране памятников истории и культуры Санкт-Петербурга от 01.02.2024 № 160-рп
"Об утверждении границ и режима использования территории объекта культурного наследия федерального значения "Часовня"
(Зарегистрирован 01.02.2024 № 36927)
Номер опубликования: 7801202402070005
Дата опубликования: 07.02.2024
Страница №3 из 5:
Увеличить