Официальное опубликование правовых актов
ОФИЦИАЛЬНОЕ ОПУБЛИКОВАНИЕ
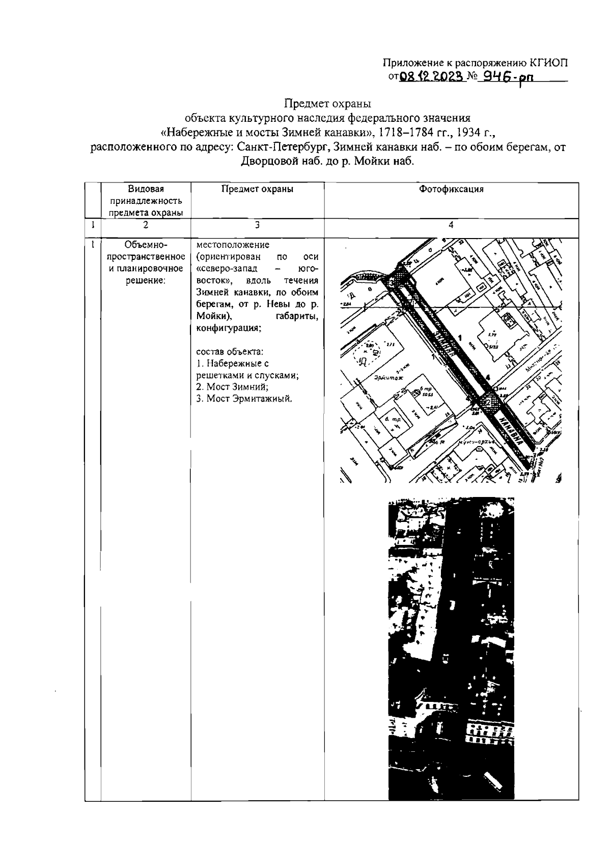
Распоряжение Комитета по государственному контролю, использованию и охране памятников истории и культуры Санкт-Петербурга от 08.12.2023 № 946-рп
"Об утверждении предмета охраны объекта культурного наследия федерального значения "Набережные и мосты Зимней канавки"
(Зарегистрирован 11.12.2023 № 36427)
Номер опубликования: 7801202312130030
Дата опубликования: 13.12.2023
Страница №2 из 12:
Увеличить