Официальное опубликование правовых актов
ОФИЦИАЛЬНОЕ ОПУБЛИКОВАНИЕ
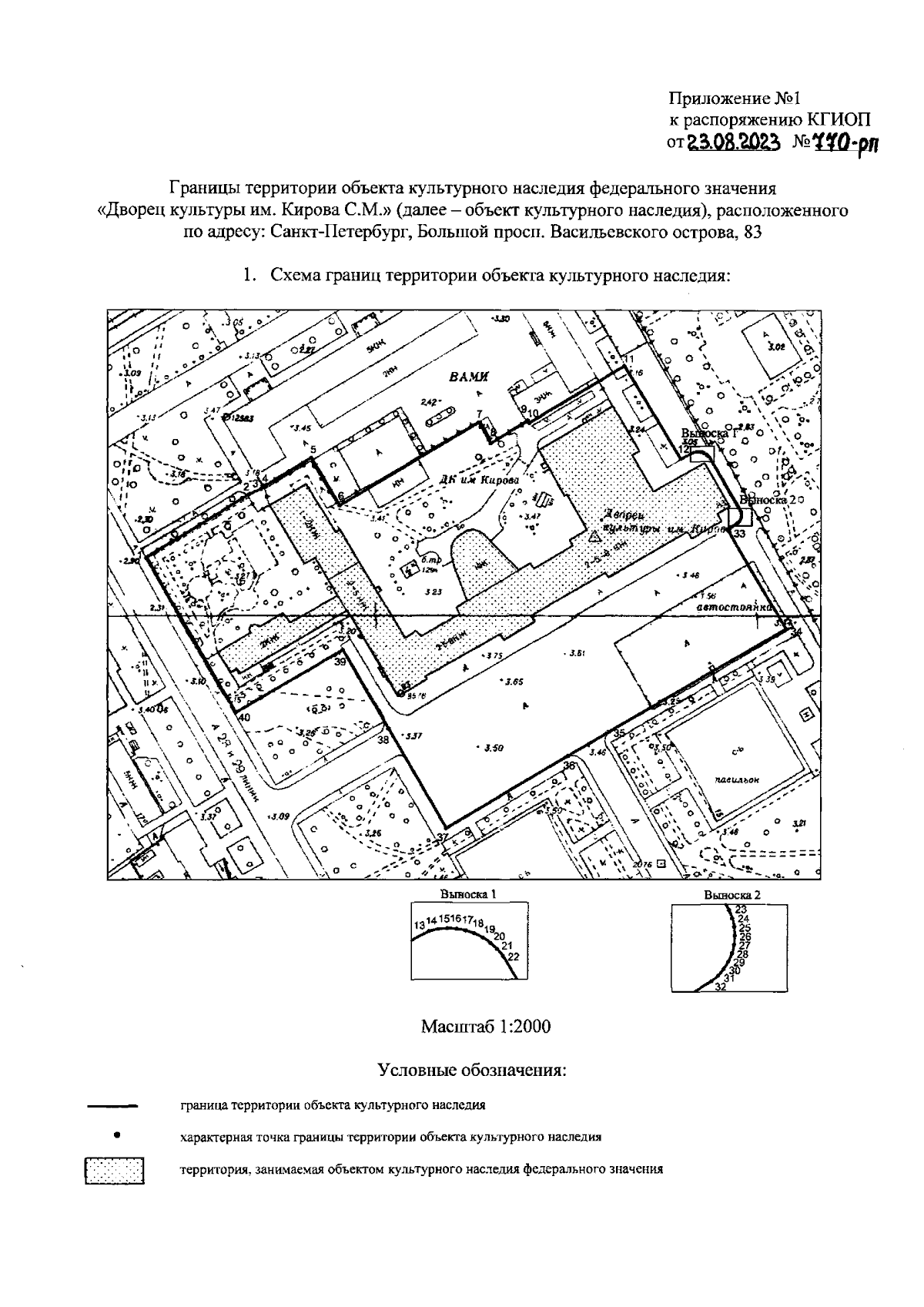
Распоряжение Комитета по государственному контролю, использованию и охране памятников истории и культуры Санкт-Петербурга от 23.08.2023 № 770-рп
"Об утверждении границ и режима использования территории объекта культурного наследия федерального значения "Дворец культуры им. Кирова С.М."
(Зарегистрирован 24.08.2023 № 35774)
Номер опубликования: 7801202308300013
Дата опубликования: 30.08.2023
Страница №3 из 5:
Увеличить