Официальное опубликование правовых актов
ОФИЦИАЛЬНОЕ ОПУБЛИКОВАНИЕ
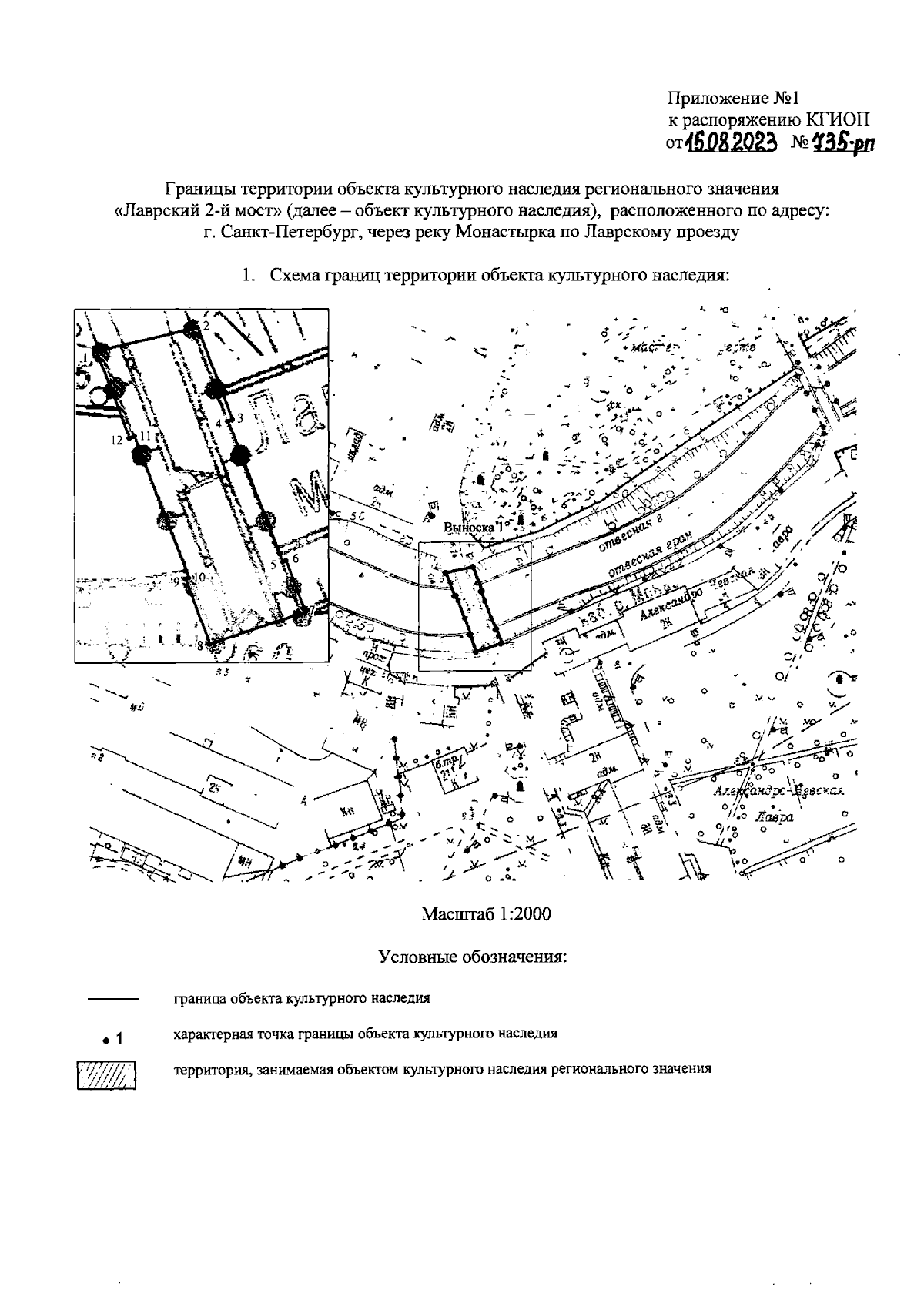
Распоряжение Комитета по государственному контролю, использованию и охране памятников истории и культуры Санкт-Петербурга от 15.08.2023 № 735-рп
"Об утверждении границ и режима использования территории объекта культурного наследия регионального значения "Лаврский 2-й мост"
(Зарегистрирован 16.08.2023 № 35691)
Номер опубликования: 7801202308170011
Дата опубликования: 17.08.2023
Страница №3 из 5:
Увеличить