Официальное опубликование правовых актов
ОФИЦИАЛЬНОЕ ОПУБЛИКОВАНИЕ
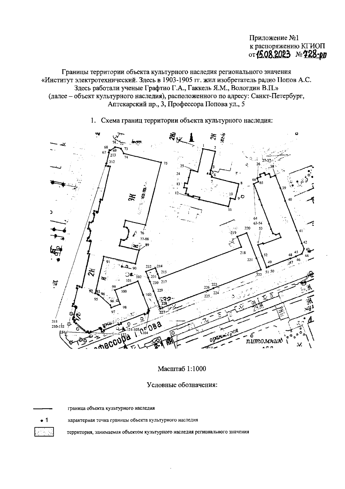
Распоряжение Комитета по государственному контролю, использованию и охране памятников истории и культуры Санкт-Петербурга от 15.08.2023 № 728-рп
"Об утверждении границ и режима использования территории объекта культурного наследия регионального значения "Институт электротехнический. Здесь в 1903-1905 гг. жил изобретатель радио Попов А.С. Здесь работали ученые Графтио Г.А., Гаккель Я.М., Вологдин В.П."
(Зарегистрирован 15.08.2023 № 35684)
Номер опубликования: 7801202308160004
Дата опубликования: 16.08.2023
Страница №3 из 11:
Увеличить