Официальное опубликование правовых актов
ОФИЦИАЛЬНОЕ ОПУБЛИКОВАНИЕ
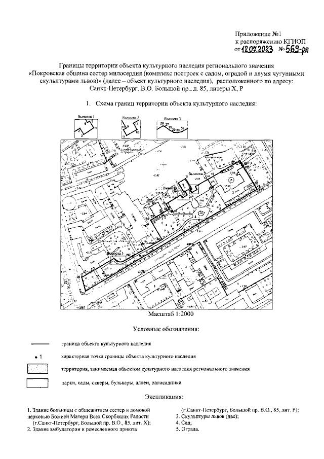
Распоряжение Комитета по государственному контролю, использованию и охране памятников истории и культуры Санкт-Петербурга от 12.07.2023 № 569-рп
"Об утверждении границ и режима использования территории объекта культурного наследия регионального значения "Покровская община сестер милосердия (комплекс построек с садом, оградой и двумя чугунными скульптурами львов)"
(Зарегистрирован 12.07.2023 № 35390)
Номер опубликования: 7801202307150001
Дата опубликования: 15.07.2023
Страница №3 из 6:
Увеличить