Официальное опубликование правовых актов
ОФИЦИАЛЬНОЕ ОПУБЛИКОВАНИЕ
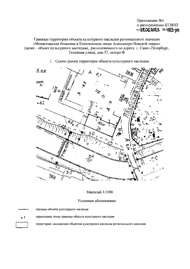
Распоряжение Комитета по государственному контролю, использованию и охране памятников истории и культуры Санкт-Петербурга от 27.06.2023 № 483-рп
"Об утверждении границ и режима использования территории объекта культурного наследия регионального значения "Монастырская больница в Конюшенном дворе Александро-Невской лавры"
(Зарегистрирован 28.06.2023 № 35244)
Номер опубликования: 7801202306300014
Дата опубликования: 30.06.2023
Страница №3 из 5:
Увеличить