Распоряжение Комитета по государственному контролю, использованию и охране памятников истории и культуры Санкт-Петербурга от 27.06.2023 № 478-рп
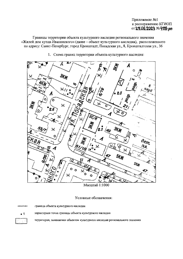
"Об утверждении границ и режима использования территории объекта культурного наследия регионального значения "Жилой дом купца Ивакинского"
(Зарегистрирован 28.06.2023 № 35239)
"Об утверждении границ и режима использования территории объекта культурного наследия регионального значения "Жилой дом купца Ивакинского"
(Зарегистрирован 28.06.2023 № 35239)
Номер опубликования: 7801202306300003
Дата опубликования:
30.06.2023
