Официальное опубликование правовых актов
ОФИЦИАЛЬНОЕ ОПУБЛИКОВАНИЕ
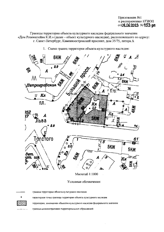
Распоряжение Комитета по государственному контролю, использованию и охране памятников истории и культуры Санкт-Петербурга от 08.06.2023 № 453-рп
"Об утверждении границ и режима использования территории объекта культурного наследия федерального значения "Дом Розенштейна К.И."
(Зарегистрирован 08.06.2023 № 35119)
Номер опубликования: 7801202306130036
Дата опубликования: 13.06.2023
Страница №3 из 6:
Увеличить