Официальное опубликование правовых актов
ОФИЦИАЛЬНОЕ ОПУБЛИКОВАНИЕ
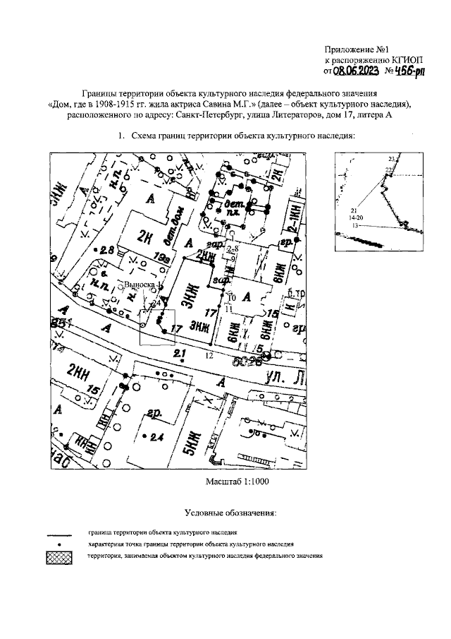
Распоряжение Комитета по государственному контролю, использованию и охране памятников истории и культуры Санкт-Петербурга от 08.06.2023 № 456-рп
"Об утверждении границ и режима использования территории объекта культурного наследия федерального значения "Дом, где в 1908-1915 гг. жила актриса Савина М.Г."
(Зарегистрирован 09.06.2023 № 35123)
Номер опубликования: 7801202306130029
Дата опубликования: 13.06.2023
Страница №3 из 5:
Увеличить