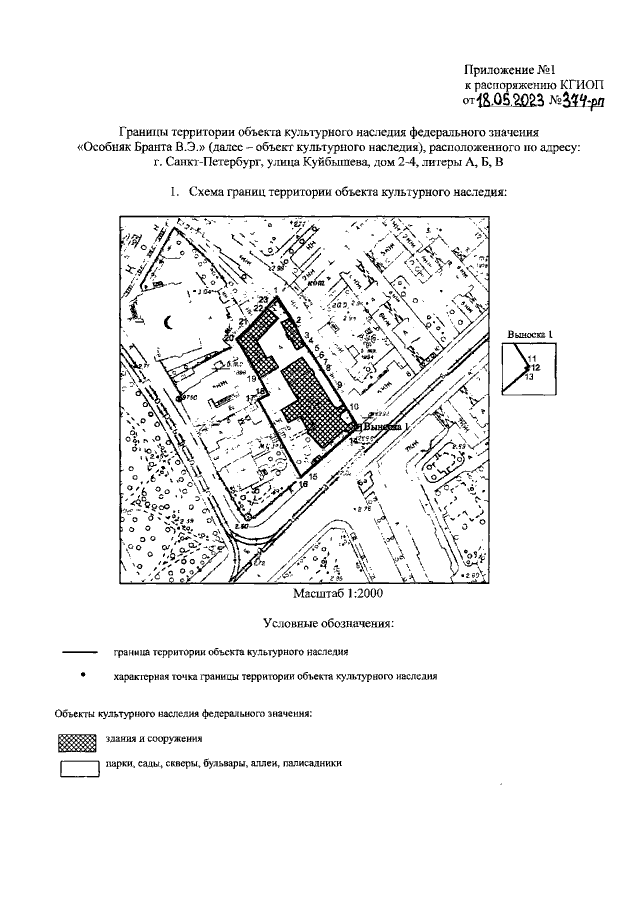
Распоряжение Комитета по государственному контролю, использованию и охране памятников истории и культуры Санкт-Петербурга от 18.05.2023 № 374-рп
"Об утверждении границ и режима использования территории объекта культурного наследия федерального значения "Особняк Бранта В.Э."
(Зарегистрирован 18.05.2023 № 34933)
"Об утверждении границ и режима использования территории объекта культурного наследия федерального значения "Особняк Бранта В.Э."
(Зарегистрирован 18.05.2023 № 34933)
Номер опубликования: 7801202305190036
Дата опубликования:
19.05.2023
