Официальное опубликование правовых актов
ОФИЦИАЛЬНОЕ ОПУБЛИКОВАНИЕ
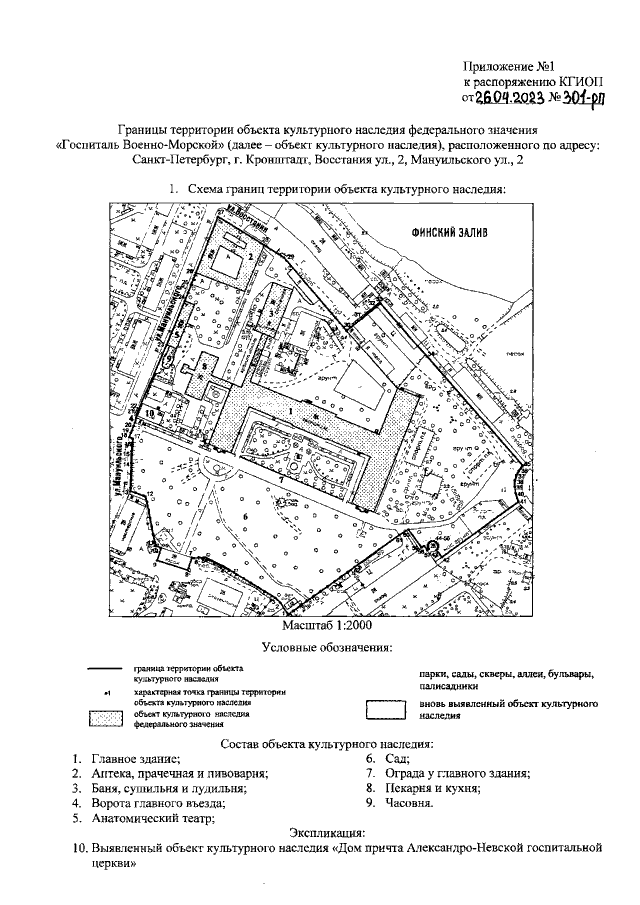
Распоряжение Комитета по государственному контролю, использованию и охране памятников истории и культуры Санкт-Петербурга от 26.04.2023 № 301-рп
"Об утверждении границ и режима использования территории объекта культурного наследия федерального значения "Госпиталь Военно-Морской"
(Зарегистрирован 28.04.2023 № 34792)
Номер опубликования: 7801202305020027
Дата опубликования: 02.05.2023
Страница №3 из 6:
Увеличить