Официальное опубликование правовых актов
ОФИЦИАЛЬНОЕ ОПУБЛИКОВАНИЕ
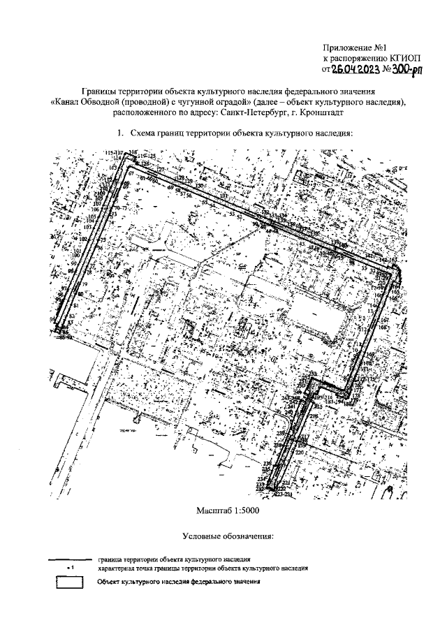
Распоряжение Комитета по государственному контролю, использованию и охране памятников истории и культуры Санкт-Петербурга от 26.04.2023 № 300-рп
"Об утверждении границ и режима использования территории объекта культурного наследия федерального значения "Канал Обводной (проводной) с чугунной оградой"
(Зарегистрирован 27.04.2023 № 34777)
Номер опубликования: 7801202305020007
Дата опубликования: 02.05.2023
Страница №3 из 8:
Увеличить