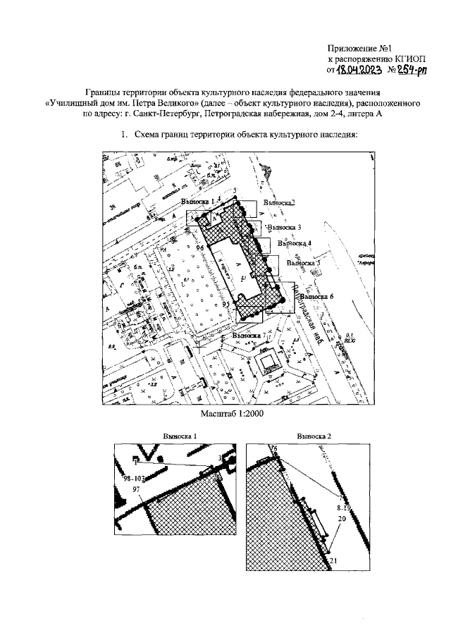
Распоряжение Комитета по государственному контролю, использованию и охране памятников истории и культуры Санкт-Петербурга от 18.04.2023 № 254-рп
"Об утверждении границ и режима использования территории объекта культурного наследия федерального значения "Училищный дом им. Петра Великого"
(Зарегистрирован 20.04.2023 № 34680)
"Об утверждении границ и режима использования территории объекта культурного наследия федерального значения "Училищный дом им. Петра Великого"
(Зарегистрирован 20.04.2023 № 34680)
Номер опубликования: 7801202304260003
Дата опубликования:
26.04.2023
