Официальное опубликование правовых актов
ОФИЦИАЛЬНОЕ ОПУБЛИКОВАНИЕ
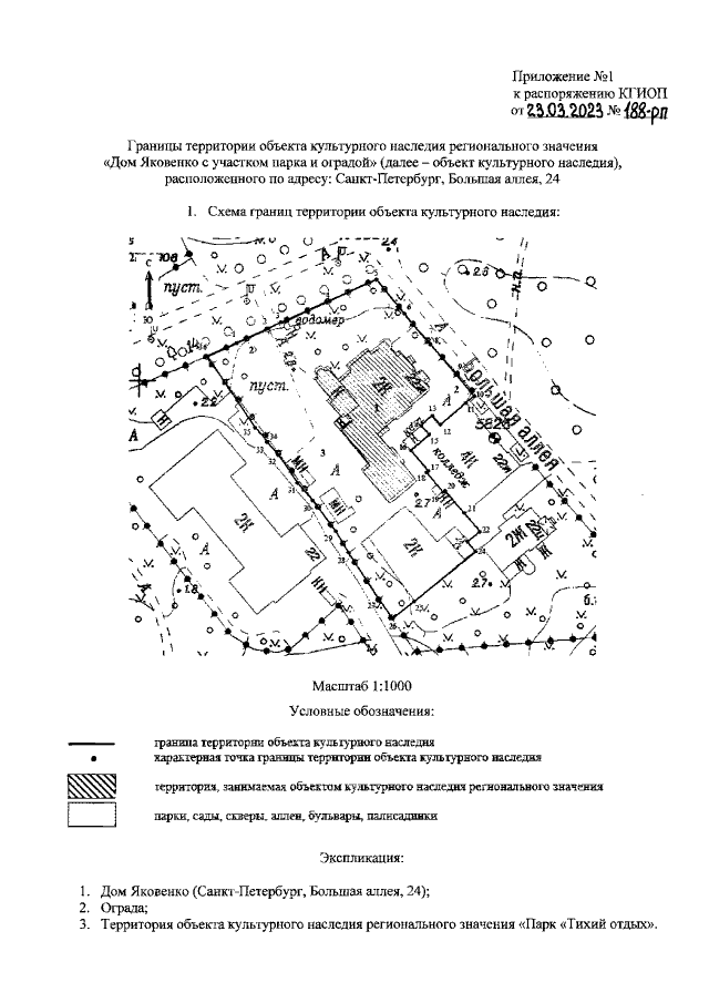
Распоряжение Комитета по государственному контролю, использованию и охране памятников истории и культуры Санкт-Петербурга от 23.03.2023 № 188-рп
"Об утверждении границ и режима использования территории объекта культурного наследия регионального значения "Дом Яковенко с участком парка и оградой"
(Зарегистрирован 24.03.2023 № 34508)
Номер опубликования: 7801202303280011
Дата опубликования: 28.03.2023
Страница №3 из 7:
Увеличить