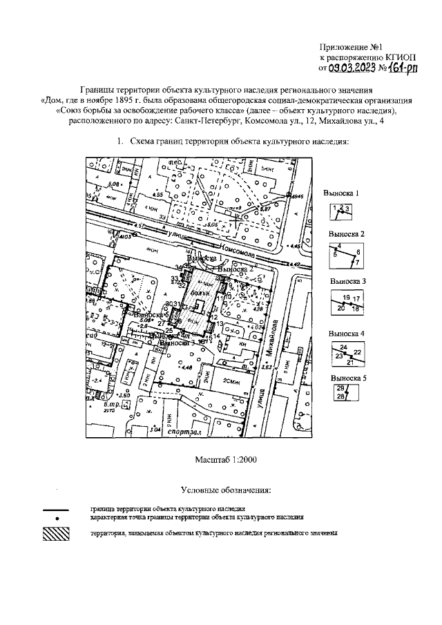
Распоряжение Комитета по государственному контролю, использованию и охране памятников истории и культуры Санкт-Петербурга от 09.03.2023 № 161-рп
"Об утверждении границ и режима использования территории объекта культурного наследия регионального значения "Дом, где в ноябре 1895 г. была образована общегородская социал-демократическая организация "Союз борьбы за освобождение рабочего класса"
(Зарегистрирован 10.03.2023 № 34423)
"Об утверждении границ и режима использования территории объекта культурного наследия регионального значения "Дом, где в ноябре 1895 г. была образована общегородская социал-демократическая организация "Союз борьбы за освобождение рабочего класса"
(Зарегистрирован 10.03.2023 № 34423)
Номер опубликования: 7801202303100016
Дата опубликования:
10.03.2023
