Официальное опубликование правовых актов
ОФИЦИАЛЬНОЕ ОПУБЛИКОВАНИЕ
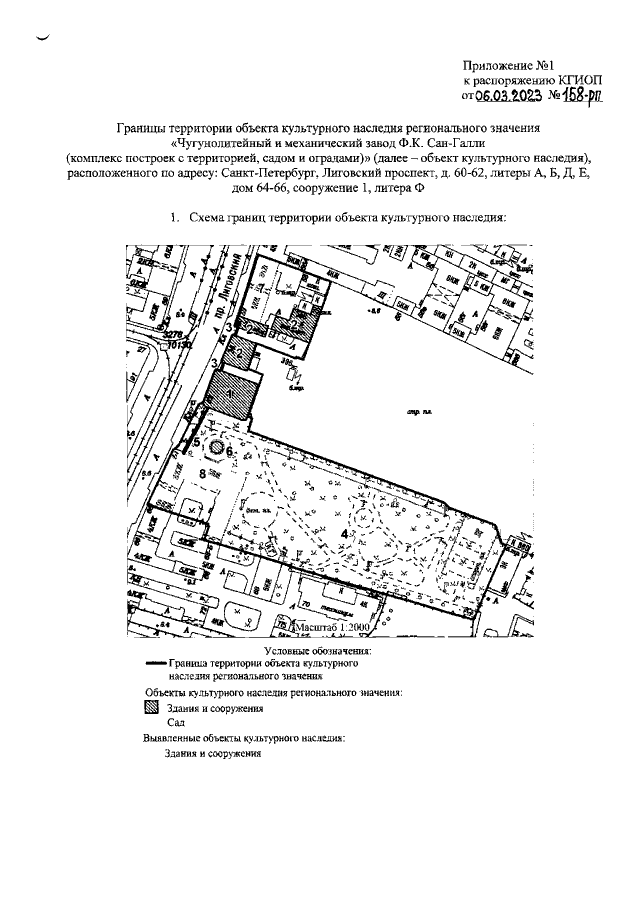
Распоряжение Комитета по государственному контролю, использованию и охране памятников истории и культуры Санкт-Петербурга от 06.03.2023 № 158-рп
"Об утверждении границ и режима использования территории объекта культурного наследия регионального значения "Чугунолитейный и механический завод Ф.К. Сан-Галли (комплекс построек с территорией, садом и оградами)"
(Зарегистрирован 07.03.2023 № 34411)
Номер опубликования: 7801202303100001
Дата опубликования: 10.03.2023
Страница №3 из 7:
Увеличить