Официальное опубликование правовых актов
ОФИЦИАЛЬНОЕ ОПУБЛИКОВАНИЕ
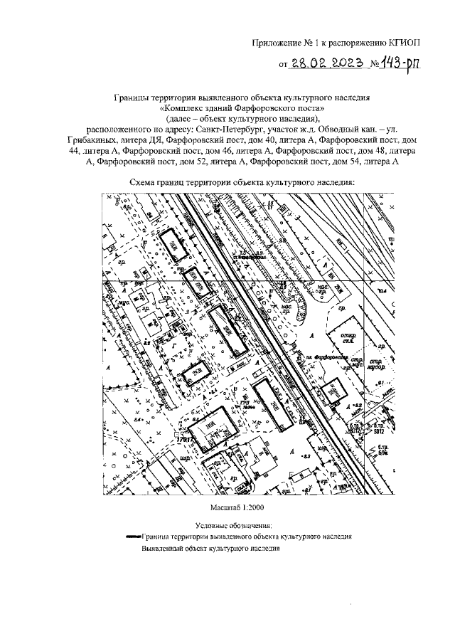
Распоряжение Комитета по государственному контролю, использованию и охране памятников истории и культуры Санкт-Петербурга от 28.02.2023 № 143-рп
"О включении в перечень выявленных объектов культурного наследия объекта, обладающего признаками объекта культурного наследия "Комплекс зданий Фарфоровского поста", об утверждении границ территории объекта культурного наследия и отказе во включении в указанный перечень объекта, обладающего признаками объекта культурного наследия, расположенного по адресу: Санкт-Петербург, Фарфоровский пост, дом 36, литера А"
(Зарегистрирован 01.03.2023 № 34377)
Номер опубликования: 7801202303020006
Дата опубликования: 02.03.2023
Страница №3 из 6:
Увеличить