Официальное опубликование правовых актов
ОФИЦИАЛЬНОЕ ОПУБЛИКОВАНИЕ
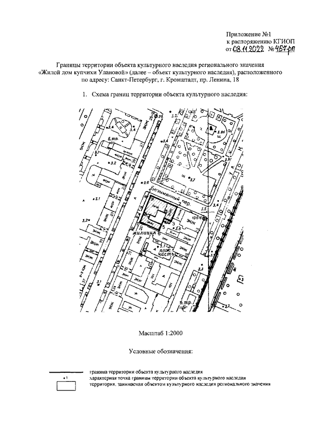
Распоряжение Комитета по государственному контролю, использованию и охране памятников истории и культуры Санкт-Петербурга от 08.11.2022 № 457-рп
"Об утверждении границ и режима использования территории объекта культурного наследия регионального значения "Жилой дом купчихи Улановой"
Номер опубликования: 7801202211110037
Дата опубликования: 11.11.2022
Страница №3 из 5:
Увеличить