Официальное опубликование правовых актов
ОФИЦИАЛЬНОЕ ОПУБЛИКОВАНИЕ
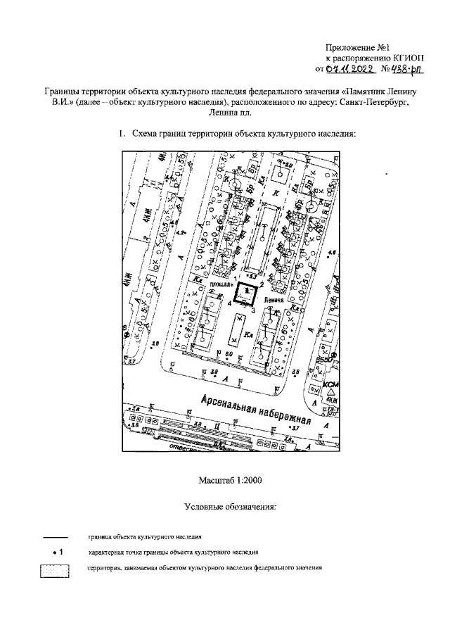
Распоряжение Комитета по государственному контролю, использованию и охране памятников истории и культуры Санкт-Петербурга от 07.11.2022 № 438-рп
"Об утверждении границ и режима использования территории объекта культурного наследия федерального значения "Памятник Ленину В.И."
Номер опубликования: 7801202211110016
Дата опубликования: 11.11.2022
Страница №3 из 5:
Увеличить