Официальное опубликование правовых актов
ОФИЦИАЛЬНОЕ ОПУБЛИКОВАНИЕ
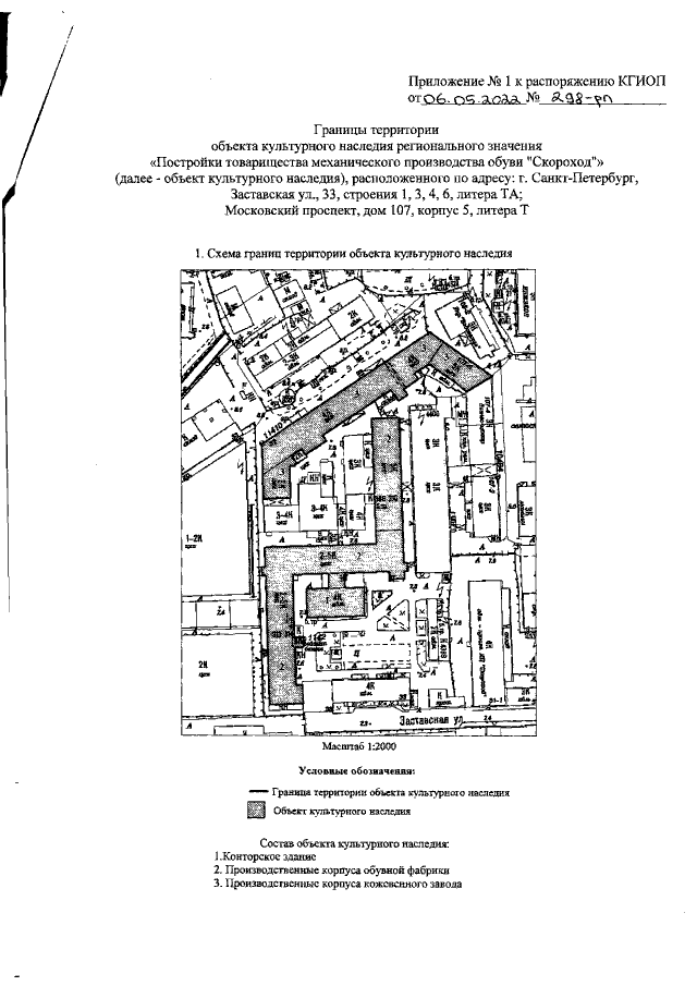
Распоряжение Комитета по государственному контролю, использованию и охране памятников истории и культуры Санкт-Петербурга от 06.05.2022 № 298-рп
"О внесении изменений в распоряжение КГИОП от 16.02.2021 № 22-р"
Номер опубликования: 7801202205130003
Дата опубликования: 13.05.2022
Страница №3 из 17:
Увеличить