Официальное опубликование правовых актов
ОФИЦИАЛЬНОЕ ОПУБЛИКОВАНИЕ
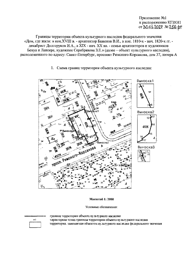
Распоряжение Комитета по государственному контролю, использованию и охране памятников истории и культуры Санкт-Петербурга от 30.03.2022 № 256-рп
"Об утверждении границ и режима использования территории объекта культурного наследия федерального значения "Дом, где жили: в кон.XVIII в. - архитектор Баженов В.И., в кон. 1810-х - нач. 1820-х гг. - декабрист Долгоруков И.А., в XIX - нач. XX вв. - семьи архитекторов и художников Бенуа и Лансере, художник Серебрякова З.Е."
Номер опубликования: 7801202204050010
Дата опубликования: 05.04.2022
Страница №3 из 7:
Увеличить