Официальное опубликование правовых актов
ОФИЦИАЛЬНОЕ ОПУБЛИКОВАНИЕ
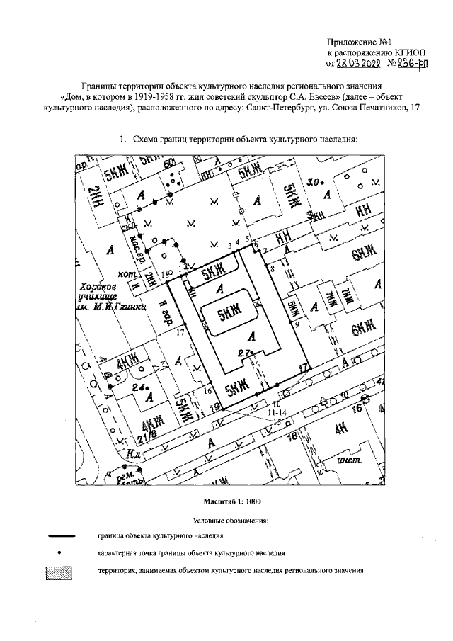
Распоряжение Комитета по государственному контролю, использованию и охране памятников истории и культуры Санкт-Петербурга от 28.03.2022 № 236-рп
"Об утверждении границ и режима использования территории объекта культурного наследия регионального значения "Дом, в котором в 1919-1958 гг. жил советский скульптор С.А. Евсеев"
Номер опубликования: 7801202204040040
Дата опубликования: 04.04.2022
Страница №3 из 6:
Увеличить