Распоряжение Комитета по государственному контролю, использованию и охране памятников истории и культуры Санкт-Петербурга от 25.03.2022 № 224-рп
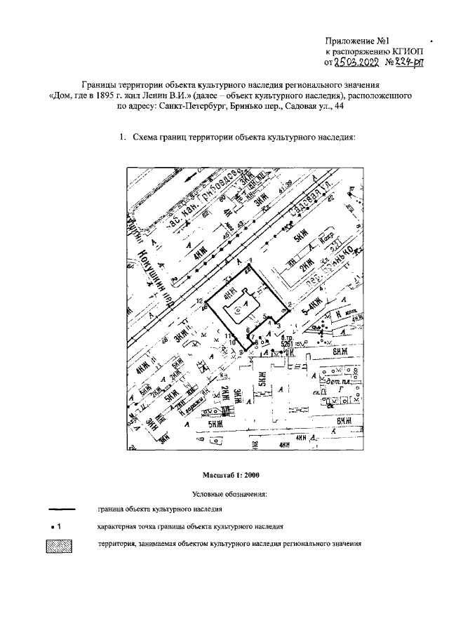
"Об утверждении границ и режима использования территории объекта культурного наследия регионального значения "Дом, где в 1895 г. жил Ленин В.И."
"Об утверждении границ и режима использования территории объекта культурного наследия регионального значения "Дом, где в 1895 г. жил Ленин В.И."
Номер опубликования: 7801202204040002
Дата опубликования:
04.04.2022
