Официальное опубликование правовых актов
ОФИЦИАЛЬНОЕ ОПУБЛИКОВАНИЕ
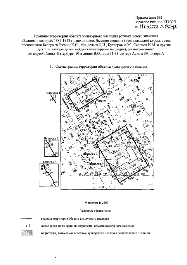
Распоряжение Комитета по государственному контролю, использованию и охране памятников истории и культуры Санкт-Петербурга от 17.03.2022 № 196-рп
"Об утверждении границ и режима использования территории объекта культурного наследия регионального значения "Здания, в которых в 1885-1918 гг. находились Высшие женские (Бестужевские) курсы. Здесь преподавали Бестужев-Рюмин К.Н., Менделеев Д.И., Бутлеров А.М., Сеченов И.М. и другие деятели науки"
Номер опубликования: 7801202203250016
Дата опубликования: 25.03.2022
Страница №3 из 7:
Увеличить