Официальное опубликование правовых актов
ОФИЦИАЛЬНОЕ ОПУБЛИКОВАНИЕ
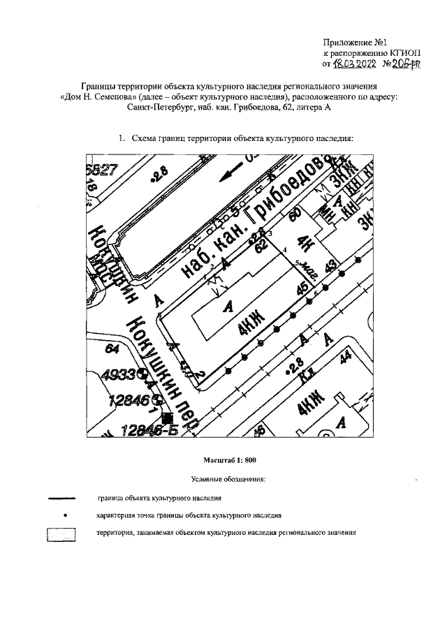
Распоряжение Комитета по государственному контролю, использованию и охране памятников истории и культуры Санкт-Петербурга от 18.03.2022 № 205-рп
"Об утверждении границ и режима использования территории объекта культурного наследия регионального значения "Дом Н.Семенова"
Номер опубликования: 7801202203250010
Дата опубликования: 25.03.2022
Страница №3 из 5:
Увеличить