Официальное опубликование правовых актов
ОФИЦИАЛЬНОЕ ОПУБЛИКОВАНИЕ
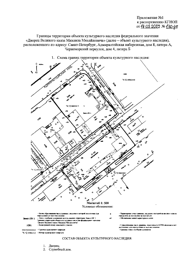
Распоряжение Комитета по государственному контролю, использованию и охране памятников истории и культуры Санкт-Петербурга от 17.02.2022 № 130-рп
"Об утверждении границ и режима использования территории объекта культурного наследия федерального значения "Дворец Великого князя Михаила Михайловича"
Номер опубликования: 7801202202220018
Дата опубликования: 22.02.2022
Страница №3 из 12:
Увеличить