Распоряжение Комитета по государственному контролю, использованию и охране памятников истории и культуры Санкт-Петербурга от 29.12.2021 № 467-рп
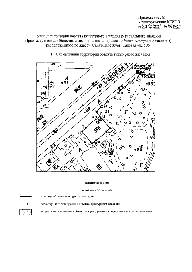
"Об утверждении границ и режима использования территории объекта культурного наследия регионального значения "Правление и склад Общества спасения на водах"
"Об утверждении границ и режима использования территории объекта культурного наследия регионального значения "Правление и склад Общества спасения на водах"
Номер опубликования: 7801202201020046
Дата опубликования:
02.01.2022
