Официальное опубликование правовых актов
ОФИЦИАЛЬНОЕ ОПУБЛИКОВАНИЕ
Распоряжение Комитета по государственному контролю, использованию и охране памятников истории и культуры Санкт-Петербурга от 18.11.2021 № 305-рп
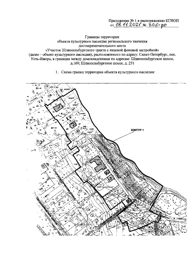
"О включении выявленного объекта культурного наследия в единый государственный реестр объектов культурного наследия (памятников истории и культуры) народов Российской Федерации в качестве объекта культурного наследия регионального значения достопримечательного места "Участок Шлиссельбургского тракта с лицевой фоновой застройкой", об утверждении границ территории объекта культурного наследия, об утверждении требований к осуществлению деятельности и требований к градостроительным регламентам в границах объекта культурного наследия, об утверждении предмета охраны объекта культурного наследия"
Номер опубликования: 7801202111250003
Дата опубликования: 25.11.2021
Страница №3 из 22:
Увеличить