Официальное опубликование правовых актов
ОФИЦИАЛЬНОЕ ОПУБЛИКОВАНИЕ
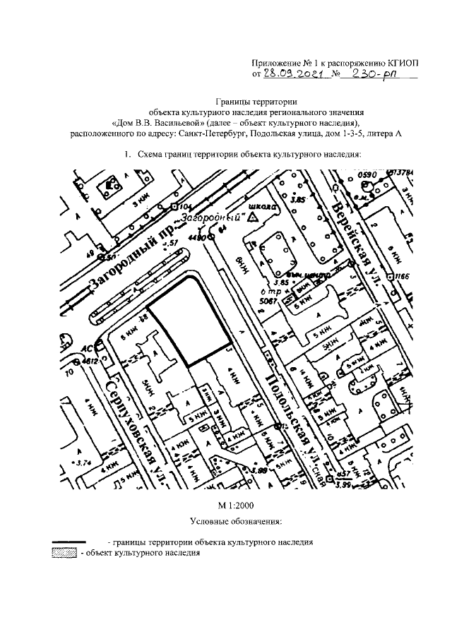
Распоряжение Комитета по государственному контролю, использованию и охране памятников истории и культуры Санкт-Петербурга от 28.09.2021 № 230-рп
"О включении выявленного объекта культурного наследия в единый государственный реестр объектов культурного наследия (памятников истории и культуры) народов Российской Федерации в качестве объекта культурного наследия регионального значения "Дом В.В. Васильевой", об утверждении границ и режима использования территории объекта культурного наследия"
Номер опубликования: 7801202110010012
Дата опубликования: 01.10.2021
Страница №3 из 5:
Увеличить