Официальное опубликование правовых актов
ОФИЦИАЛЬНОЕ ОПУБЛИКОВАНИЕ
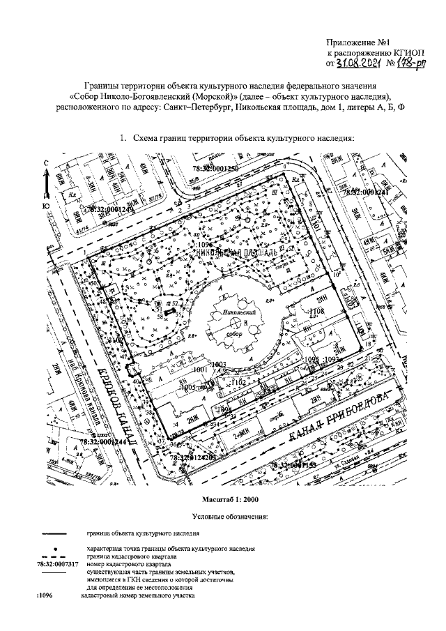
Распоряжение Комитета по государственному контролю, использованию и охране памятников истории и культуры Санкт-Петербурга от 31.08.2021 № 178-рп
"Об утверждении границ и режима использования территории объекта культурного наследия федерального значения "Собор Николо-Богоявленский (Морской)"
Номер опубликования: 7801202109030002
Дата опубликования: 03.09.2021
Страница №3 из 8:
Увеличить