Распоряжение Комитета по государственному контролю, использованию и охране памятников истории и культуры Санкт-Петербурга от 11.08.2021 № 127-рп
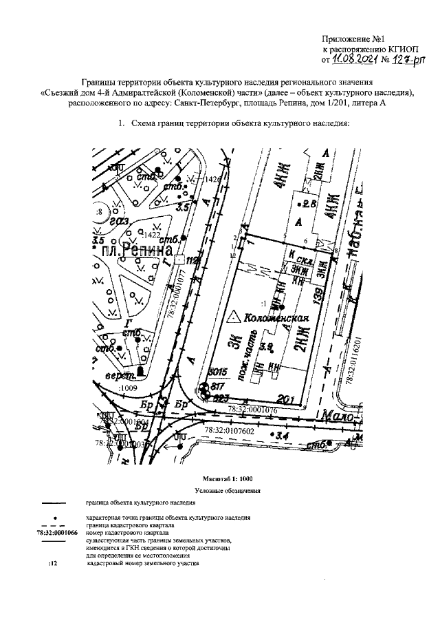
"Об утверждении границ и режима использования территории объекта культурного наследия регионального значения "Съезжий дом 4-й Адмиралтейской (Коломенской) части"
"Об утверждении границ и режима использования территории объекта культурного наследия регионального значения "Съезжий дом 4-й Адмиралтейской (Коломенской) части"
Номер опубликования: 7801202108160006
Дата опубликования:
16.08.2021
