Официальное опубликование правовых актов
ОФИЦИАЛЬНОЕ ОПУБЛИКОВАНИЕ
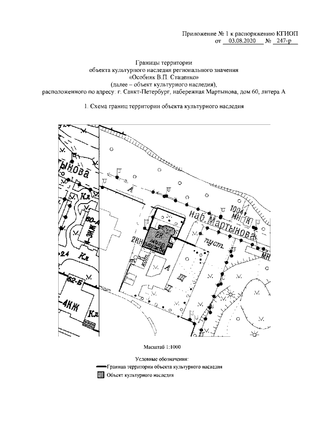
Распоряжение Комитета по государственному контролю, использованию и охране памятников истории и культуры Санкт-Петербурга от 03.08.2020 № 247-р
"Об утверждении границ и режима использования территории объекта культурного наследия регионального значения "Особняк В.П. Стаценко"
Номер опубликования: 7801202008050004
Дата опубликования: 05.08.2020
Страница №3 из 5:
Увеличить