Официальное опубликование правовых актов
ОФИЦИАЛЬНОЕ ОПУБЛИКОВАНИЕ
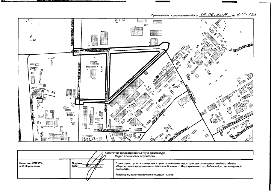
Распоряжение Комитета по градостроительству и архитектуре Санкт-Петербурга от 07.06.2017 № 211-153
"О подготовке документации по планировке территории для размещения линейного объекта "Перспективное продолжение пр. Маршала Блюхера от Индустриального пр., Зыбинской ул., проектируемой дороги №4"
Номер опубликования: 7801201706080027
Дата опубликования: 08.06.2017
Страница №3 из 10:
Увеличить