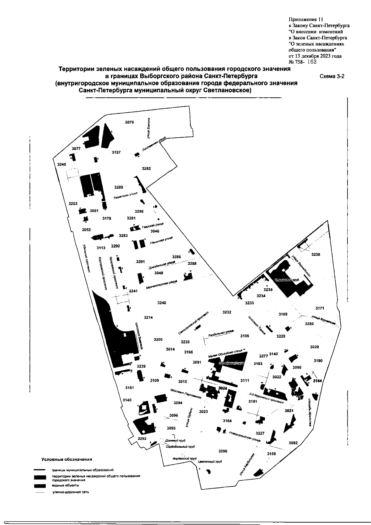
Закон Санкт-Петербурга от 13.12.2023 № 758-163
"О внесении изменений в Закон Санкт-Петербурга "О зеленых насаждениях общего пользования" (принят Законодательным Собранием Санкт-Петербурга 13.12.2023, подписан Губернатором Санкт-Петербурга 21.12.2023)"
"О внесении изменений в Закон Санкт-Петербурга "О зеленых насаждениях общего пользования" (принят Законодательным Собранием Санкт-Петербурга 13.12.2023, подписан Губернатором Санкт-Петербурга 21.12.2023)"
Номер опубликования: 7800202312290026
Дата опубликования:
29.12.2023
