Постановление Правительства Санкт-Петербурга от 25.07.2023 № 779
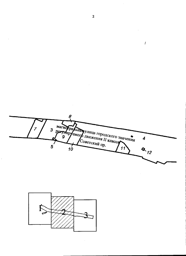
"Об утверждении проекта планировки с проектом межевания территории для размещения линейных объектов регионального значения "Советский пр. от пер.Слепушкина до перспективной Южной широтной магистрали", "Участок трамвайной линии от станции метро "Рыбацкое" до г.Колпино"
"Об утверждении проекта планировки с проектом межевания территории для размещения линейных объектов регионального значения "Советский пр. от пер.Слепушкина до перспективной Южной широтной магистрали", "Участок трамвайной линии от станции метро "Рыбацкое" до г.Колпино"
Номер опубликования: 7800202308010001
Дата опубликования:
01.08.2023
