Официальное опубликование правовых актов
ОФИЦИАЛЬНОЕ ОПУБЛИКОВАНИЕ
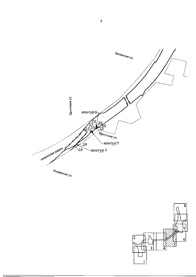
Постановление Правительства Санкт-Петербурга от 17.07.2023 № 746
"О внесении изменений в постановление Правительства Санкт-Петербурга от 25.04.2019 № 254"
Номер опубликования: 7800202307240001
Дата опубликования: 24.07.2023
Страница №7 из 131:
Увеличить