Официальное опубликование правовых актов
ОФИЦИАЛЬНОЕ ОПУБЛИКОВАНИЕ
Приказ Комитета по охране объектов культурного наследия Томской области от 10.02.2020 № 0025/01-07
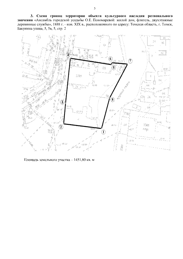
"О включении выявленного объекта культурного наследия "Ансамбль городской усадьбы О.Е. Пономаревой: жилой дом, флигель, двухэтажные деревянные службы", 1888 г. - кон. ХIХ в., и выявленных объектов культурного наследия в его составе в единый государственный реестр объектов культурного наследия (памятников истории и культуры) народов Российской Федерации в качестве объектов культурного наследия регионального значения, утверждении границ их территории и предметов охраны"
Номер опубликования: 7001202002110001
Дата опубликования: 11.02.2020
Страница №5 из 29:
Увеличить