Официальное опубликование правовых актов
ОФИЦИАЛЬНОЕ ОПУБЛИКОВАНИЕ
Постановление Администрации Томской области от 08.11.2022 № 500а
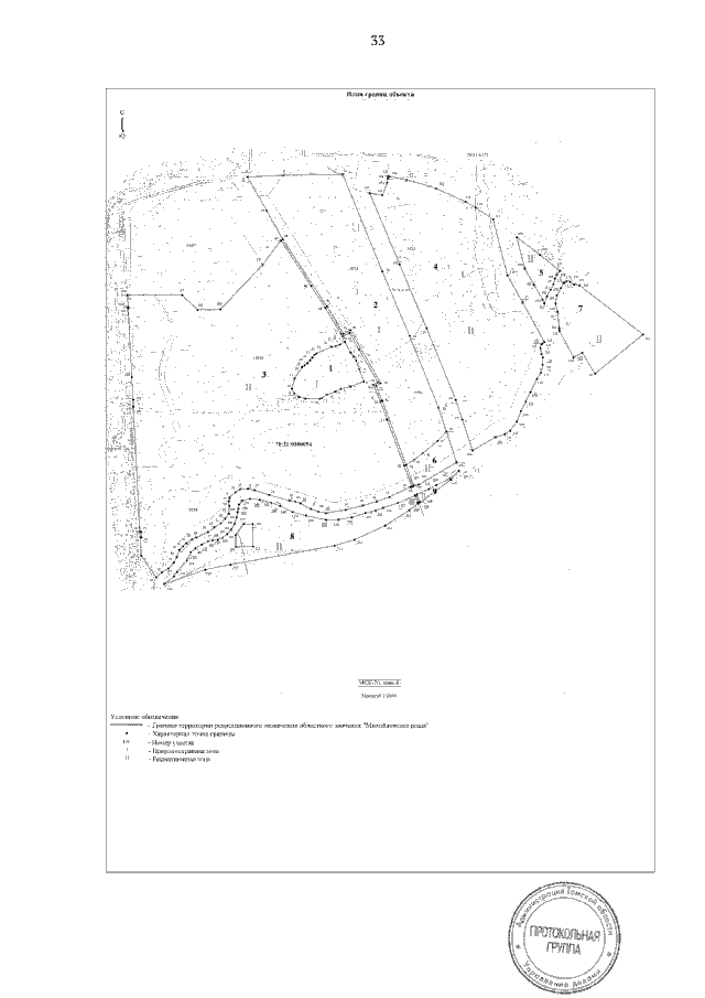
"О реорганизации памятника природы областного значения "Михайловская роща" в территорию рекреационного назначения областного значения "Михайловская роща"
Номер опубликования: 7000202211100008
Дата опубликования: 10.11.2022
Страница №38 из 38:
Увеличить