Официальное опубликование правовых актов
ОФИЦИАЛЬНОЕ ОПУБЛИКОВАНИЕ
Приказ Государственной инспекции по охране объектов культурного наследия Сахалинской области от 16.02.2026 № 1-3.42-79/26
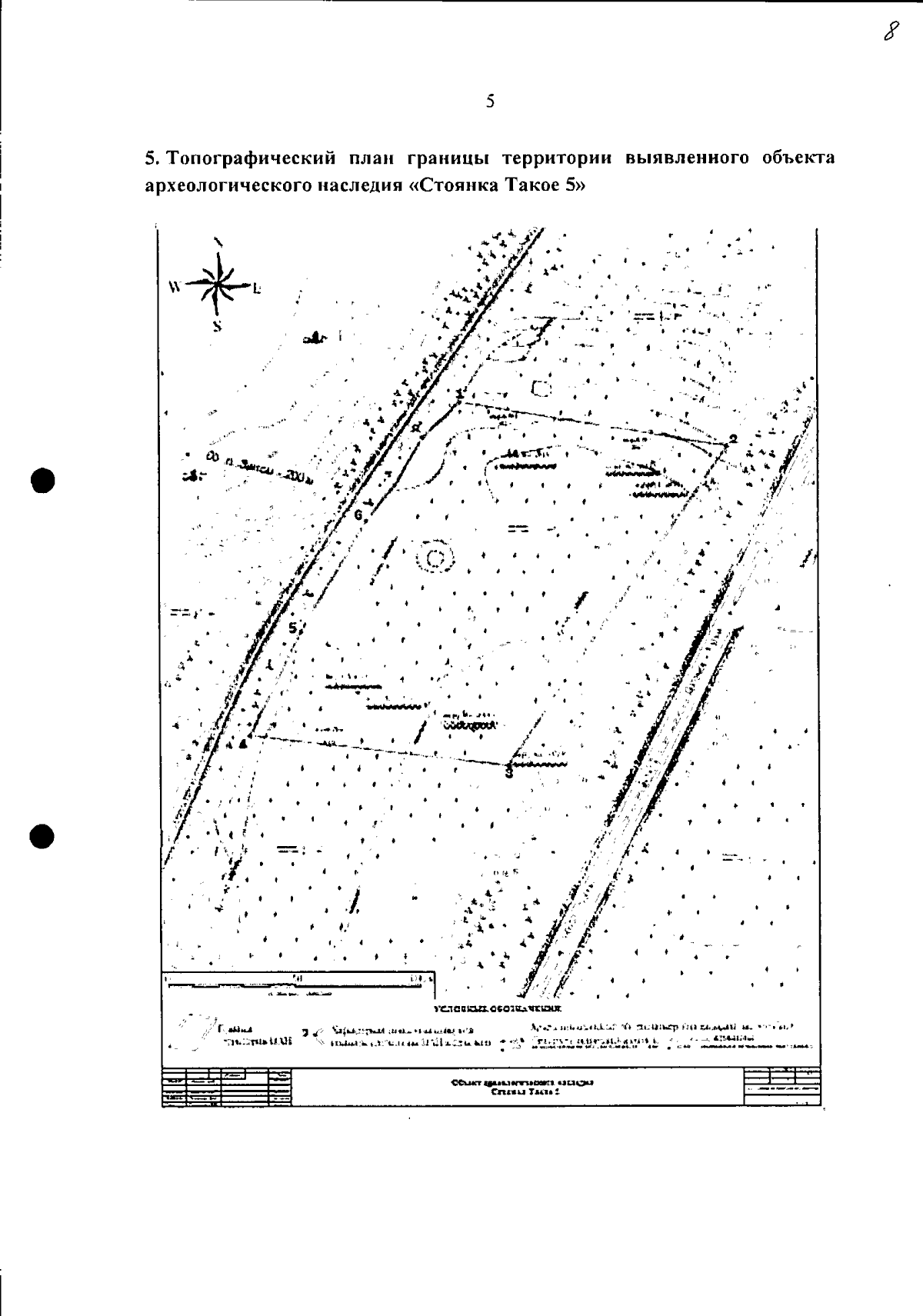
"Об установлении границ территории, предмета охраны и режима использования земельного участка, в границах которого расположен выявленный объект археологического наследия "Стоянка Такое 5"
(Зарегистрирован 16.02.2026 № 1-3.42-79/26)
Номер опубликования: 6501202602190023
Дата опубликования: 19.02.2026
Страница №8 из 9:
Увеличить